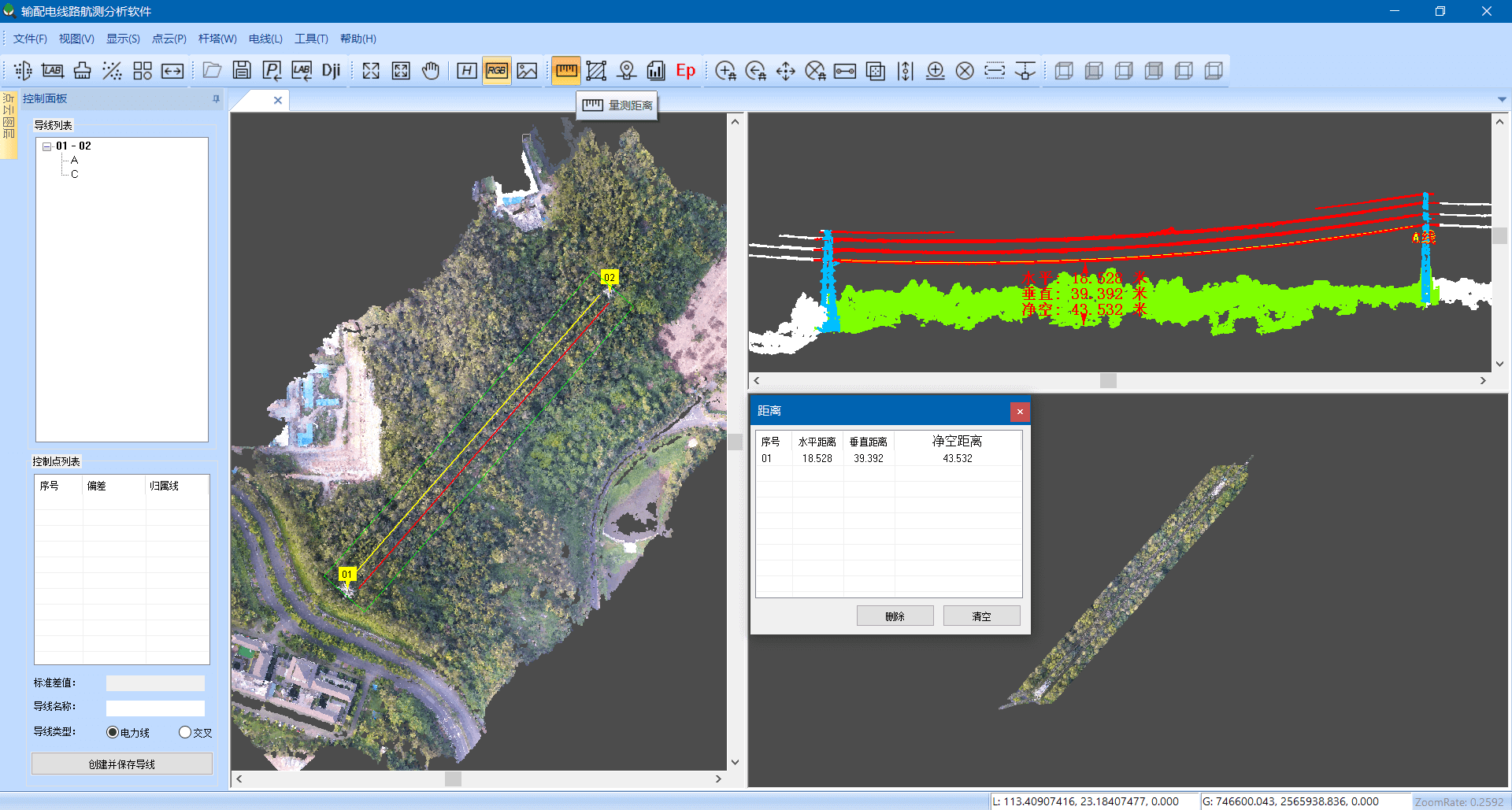
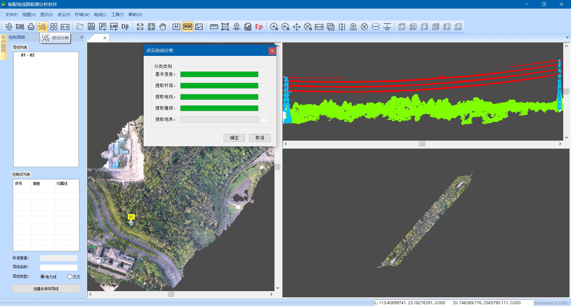
易飞输电线路航测平台是基于图像密集点云匹配和摄影测量技术,针对输电线路巡视而研发的自动化图像分析平台。平台支持多旋翼和固定翼无人机的可见光、激光雷达数据来源,可实现输电导线弧垂建模、点云分类、交叉跨越分析、树障安全距离分析、树障危险性分析等等,并能快速定位障碍位置,识别障碍类型,并生成分析报告。内置南网、国网运维标准。
兼容大疆智图工程,为线路模型进行优化,助力电力巡检作业不断向便捷化、智能化发展。